Plans Show Escambia County’s First Wawa Store May Be Located Beulah
May 23, 2022
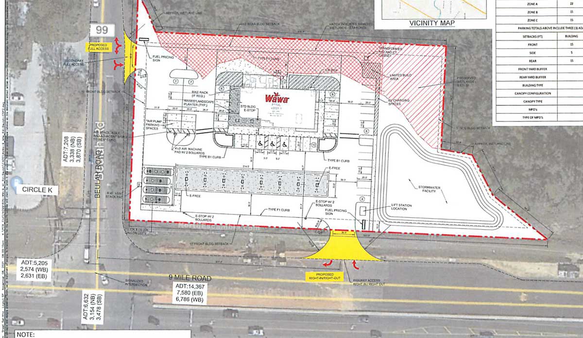
Beulah may get the first Wawa location in Escambia County.
Plans have been submitted to the Escambia County Development Review Committee for a 5,550 square foot Wawa store at 5251 West Nine Mile Road, on three acres of an 18-acre parcel on the northeast corner of the intersection with County Road 99.
A conceptual drawing indicates that the store would have not only eight fuel pumps, but also electric vehicle charging stations.
About a month ago, NorthEscambia.com first reported that the popular convenience store chain was looking to expand in Escambia County.
In 2022, Wawa will mark the 10th anniversary of the opening of its first Florida store. The store opened July 18, 2012, in Orlando across from SeaWorld. Since then Wawa has expanded rapidly throughout the state and will open its 250th store in Florida later this year. Today, Wawa employs almost 10,000 associates across the Sunshine State.
The project is in the pre-application process before the Escambia Development Review Committee and would go through several additional steps before any construction could begin.
Comments
31 Responses to “Plans Show Escambia County’s First Wawa Store May Be Located Beulah”



We’re not going to have animals and natural habitats left-here in Pensacola! I know many want a WaWa station/store here but where they have it being built is ridiculous! It’s like it’s not necessary at all with two other station on other corners right there! Pick a better place and everyone will be satisfied! Money rules, but let common sense run this time! There’s not going to be NATURE OF FLORIDA left for our children to explore and enjoy!
Agreed already 2 convenience stores and a grocery store. And signage showing two car washes now coming – one in front of Publix and one next to Publix on Beulah Road. The Middle school already destroyed two families of coyotes. We have bobcats showing up in our backyards on Rebel Road. Turtles , armadillos, foxes, raccoons, and coyotes lying dead along nine mile with in a quarter mile radius of the nine mile/beluah intersection. When does it stop ?? Where is our fierce and proudly protected Florida wildlife supposed to go ? To eat ? To reproduce? To live peacefully? We Floridians brag about and encourage our harmonic wildlife environment yet we continue to push them into our roads, parking lots , backyards and dumpsters wondering why we have to protect our companion pets. Enough.
Do we really need THREE gas stations on the same exact corner? Nevertheless, at an intersection that has no dedicated left turn lanes on CR99, that causes constant backups, well past the Publix, and takes multiple light cycles to make it through? This should only be approved if CR99 is widened to have dedicated left and right turn lanes.
The Escambia County Development Review Committee has already spoken – progress in the name of destroying the wetlands. How long before the whole wetland area is developed? Mother nature will have her day.
I agree with Kevin. The wetlands and associated animals should come first. Especially on an intersection that already has a convenience store. Heck, I remember when folks didn’t even know where Beulah was!
I agree with Kevin.
There are many many turtles that live in the wetlands area right there, and they will probably kill them all building that there. These people around here need to think about the wildlife more instead of thinking about tearing down all the trees everywhere and building more stuff to make their self more money. The animals were here long before us and in another 50 years there will be alot of endangered animals because of greedy people. Please help and save the turtles there and animals everywhere
That’s an interesting way to protect those wetlands?
The are building a 6000 sq ft Cefco station near me on W Michigan ave. Its sitting on a little under 4 acres and the layout looks similar so my guess is if it sits on 18 acres then they are using no more that 4 or 5 of that to build ..
Anyone I know that have wawa’s love their coffee and food the stores have a cult like following.. I will visit it..They are suppose to 4 lane Beulah up to the new exit but not south of W 9mile to Mobile hwy.. Sure it will happen though not soon enough…
I believe it will help assist all of the new homeowners in Beulah Land, but definitely Not in that location. I travel that way often, and often it needs to be in a better location. They have money enough to get new engineering and structurals and boundary surveys. Layouts can be used again.
This location is very close to a wetland area which should be protected.
Beulah now is a tourist destination
WaWa is an amazing store. 24hr subs and sandwiches made to order, there tasty. and a great coffee station. Not your average gas station. a step above all the rest
If you haven’t been to a WaWa then you don’t know what you’re missing .
If they build it I promise you will go
@Beegee
WaWa is what the babies like to splash in or ask for when thirsty………
We don’t need another convenience store at that corner that already has two and a grocery store. We want a restaurant (not fast good). A restaurant would be MUCH better.
How does it make any sense to have 3 gas stations at on intersection?
Wetlands impacted, trees cut, more traffic, a THIRD convenience store on the corner that already has a Publix. Any infrastructure added to support this? No.
That intersection is going to be as bad as Pine Forest and 9 mile. It is the only outlet for thousands of cars traveling south from all the unrestrained construction.
That side exit/entrance competing with Circle K and the intersection traffic will be constant accidents.
Wouldn’t this be better suited on OLF?
My family of 7 love Wawa! It will be amazing to have one where the plans show. I know it won’t matter, but I VOTE YES!!!! Let’s go WAWA!…
“We don’t mean to sound ignorant,but what’s a WAWA???”"
Well too late for that . Many clues right there in the story. Words like “fuel pumps”, and “popular convenience store chain” could be clues.
We don’t mean to sound ignorant,but what’s a WAWA???
The area is growing fast. Don’t worry, nothing much will change. Look at Perdido Key with wall to wall condos and shopping and the same overloaded two lane road. Alabama took care of the highway from the Fl/Al line to Gulf Shores many years ago but Florida just yawns. The minimum to just get by is about all you can expect.
Beulah is the new Promise Land.
“the county needs to fix that intersection”
Nine Mile is a state highway, so it’s up to the state to fix it. The county can’t.
Its a good idea, but the county needs to fix that intersection. I see an accident their almost daily, not sure if its the location of the lights, ir something else but ive seen 2 fatalities already this year there.
Please put a Wawa in Brent, Ferry Pass or east Nine Mile near Scenic Highway. Thanks.
I agree with Molino
Please put one in cantonment and molino
I thought old Fedke’s farm was a lot of wetlands!
@Molino on May 23rd
Thumbs UP, their prices are allien, OUT OF THIS WORLD
If the county approves this the county will need to address this enter section. It will need to be widened on both sides at least a half mile North and South if not all the way to Mobile highway on the south side and Frank Reeder on the North side. Traffic is already getting congested during certain times of days and with all the housing going up it’s only going to get worse
Not that it counts but I vote to put one up by Tom Thumb in Molino. With any luck it will run that sorry place out of business, and wawa is an awesome store.