World Gym Proposes New Cantonment Location
March 4, 2025
World Gym is proposing to construct a facility in Cantonment.
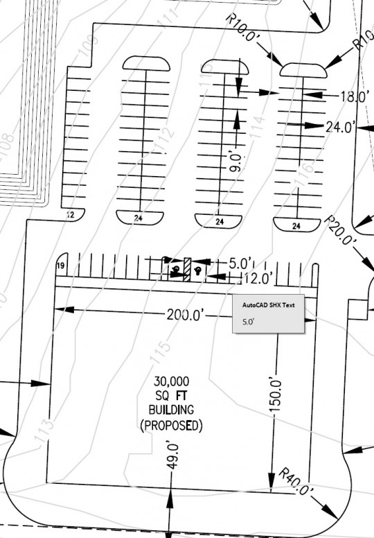
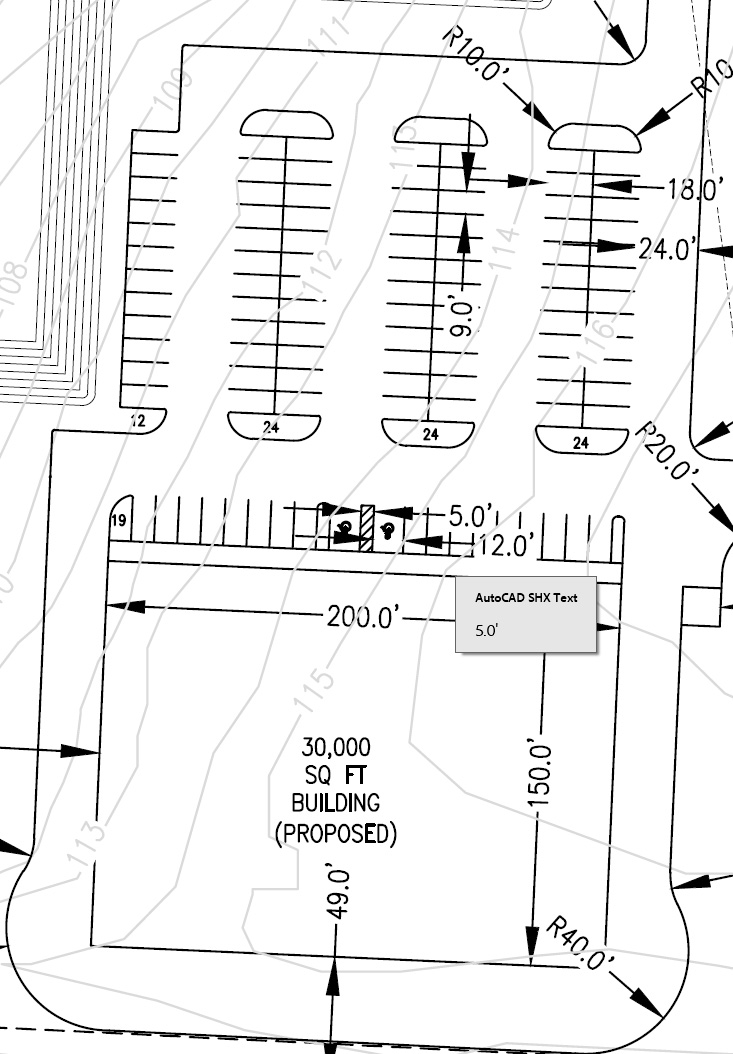
Developers have proposed a 30,000-square-foot commercial building on an undeveloped 18.8 acre site. The building at 1275 North Highway 29 will house World Gym’s heath and fitness building along with two other spaces that will be leased with 103 parking spaces. The facility’s parking lot with 103 spaces will be accessible from both Neal Road and Highway 29.
The proposal was filed with Escambia County last week and has not yet been scheduled for a Development Review Committee public meeting.
World Gym currently operates a 6,583 square foot gym in a building constructed in 1945 at 110 South Highway 29, at the railroad cross and across from International Paper. The company has not announced if that location will close if the new facility is constructed. There is a second Escambia County location of the international brand on North Ninth Avenue.
NorthEscambia.com graphic.
Comments
4 Responses to “World Gym Proposes New Cantonment Location”




This is awesome news!!! Trying to get in and out of World Gym’s location now is impossible if you are driving South around 4-5pm. Plus that gym is ALWAYS busy. Not enough equipment for the number of people that go there or even WANT to go there. Chest days are moved to Wednesdays now since Monday that place is at capacity, and now Tuesdays are the same way. I’m definitely excited about this!!!!
@jj, no they do not need to do that. People just need to learn how to drive and pay attention
More growth! More borrowed fill needed. More power lines, poles, and transformers, more roads and traffic lights.
And more fees and taxes for everyone else.
Lower the speed limit down from 65
and a TRAFFIC LIGHT AT NEAL RD!