Costco Nine Mile Road Plans Set For Development Review Meeting
July 20, 2024
Plans for a new Costco on Nine Mile Road are now set for their first public approval meeting.
NorthEscambia.com was first to report in June that preliminary plans were filed Monday for a new Costco on Nine Mile Road.
Now, the plans are set for a pre-application meeting at 1 p.m. Wednesday, July 24, before the Escambia County Development Review Committee.
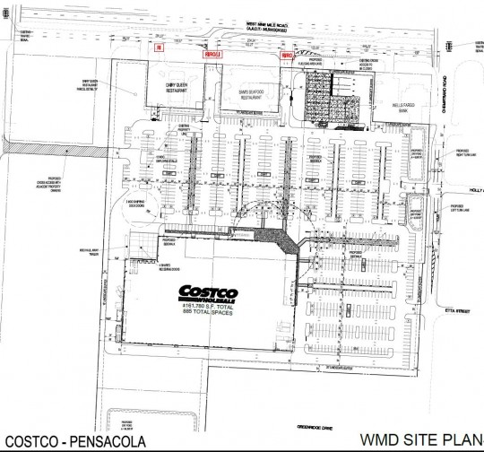
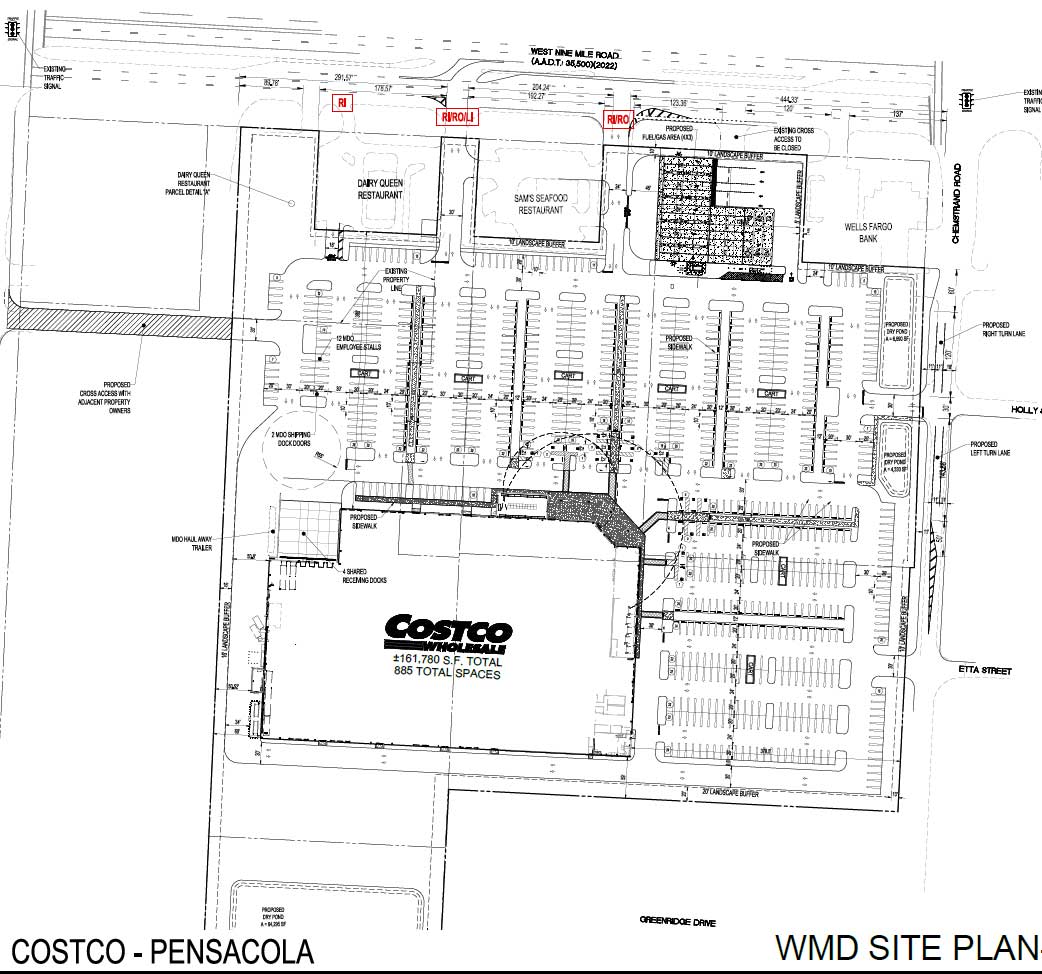
The plans filed with Escambia County show the 161,780 square foot Costco retail store with a gas station and 885 parking spaces at 235 East Nine Mile Road, at the corner of East Nine Mile Road and Chemstrand Road. That’s the site of a current Planet Fitness and a former Kmart store.
The plans show the current buildings being demolished for the new Costco on seven parcels totaling just under 22 acres.
The outlying parcels with Well Fargo Bank, Sam’s Seafood Restaurant and Dairy Queen will remain with the Costco gas station between Sam’s Seafood and Well Fargo.
Thomas Engineering Group of Tampa filed the plans with Escambia County.
The development must go through numerous other steps before a building permit is issued.
NorthEscambia.com graphics, click to enlarge.
Comments
9 Responses to “Costco Nine Mile Road Plans Set For Development Review Meeting”




Costco would be a welcome sight don’t mess this up to Escambia County.
Maybe Sam’s will now clean up their store. Wonderful people however store appears ancient. Plus now we can get a decent hotdog.
Costco yes. Bjs as well as Sam’s club need the competition in turn savings for the people and businesses
This business would be wonderful for Pensacola! Last time I attended one of their meetings it was on Fairfield Dr….location of the old Builder’s Square across from Health Dept. My fingers are crossed!!!
Please allow Costco to come to Pensacola. It is a wonderful store with many great prices as well as a lower price for gas. Everyone needs a break from high prices as the economy is struggling! Thank you
@John Connor ……not sure when the last time you drove down Chemstrand between 9 mile road and Johnson ave, but that stretch is currently under construction. It started in January of this year. It will have all new storm drain installed on chemstrand and all side roads, new potable water system, new drainage swales, complete roadway reconstruction in necessary areas on Chemstrand and complete mill and overlay on Chemstrand from Johnson Ave to 9 mile road.
Can we attend this meeting. Does anyone know the address ? Thank you
Does anyone know the location of this meeting?
I know how Eacambia County will mess this up! They will demand Costco upgrade Chemstrand Rd to handle the traffic. When it should have been dealt with by the county south of Nine Mile years ago. Than Costco will pull out and we don’t get one. You watch, I lived here 30 years I know how Escambia County works.