New 134 Lot Subdivision Planned For Highway 29 Near Pinoak Lane
September 25, 2023
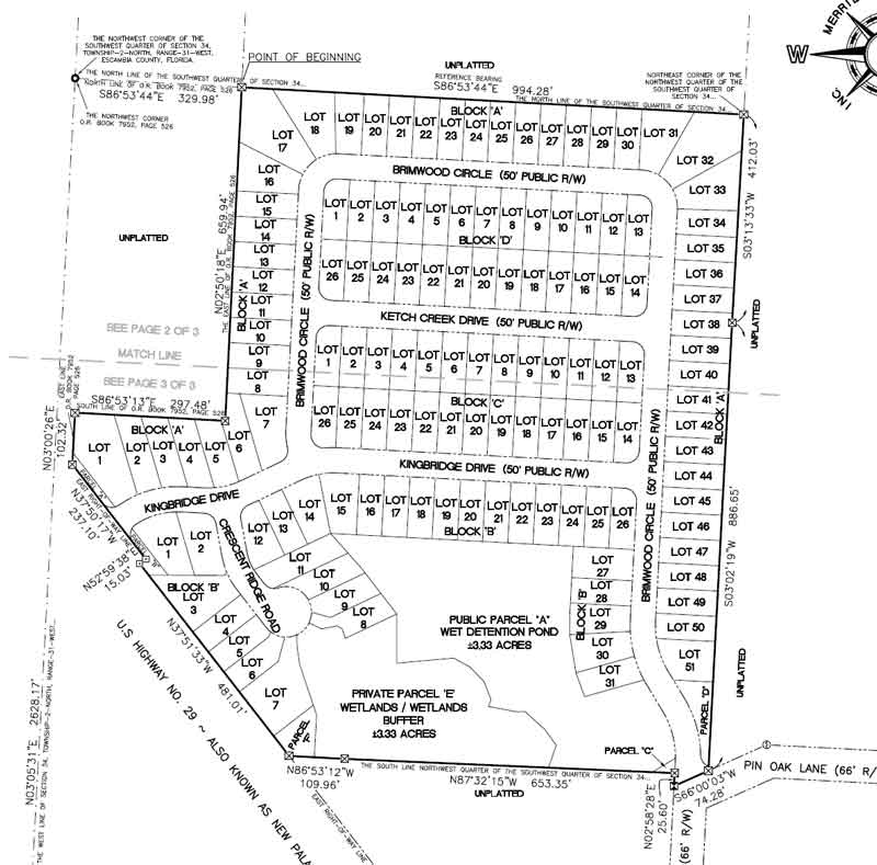
A new 134 lot subdivision is proposed for Highway 29 near Cantonment.
“Turtle Creek” would be located on 31.45 acres east and northeast of Highway 29 near Pinoak Lane, across from the produce stand.
The development is being proposed by Garden Street Communities Southeast of Pensacola for single family homes, according to Escambia County Development Review Committee (DRC) documents.
The proposal is in the initial staff internal review phase of the DRC process and has not yet been set for a public meeting.
NorthEscambia.com graphics.
Comments
27 Responses to “New 134 Lot Subdivision Planned For Highway 29 Near Pinoak Lane”




These homes will only be about 10 -12 feet apart…you will not have any privacy. They are tacky…since this is in the county, noise ordinances do not apply…dont let them ruin the area…
this be wicked ole´son
Will line up perfectly when Santa Rosa Quinteete is tied in with Beulah. Isn’t it ironic how things have a way of working out.
Policies,rules, laws and even zoning regulations are made by those that profit from them.
No longer to be called country encroachment…the politically correct term is now rural expansion.
Don’t suppose many of you can tell but this has a new access off 29 not necessarily the the bottom on pin oak that floods.
We certainly aren’t going to stop the new builds and I’m starting to be okay with that if the county would improve infrastructure to accommodate the additional families, kids, traffic, health, crime, safety, etc, etc. Seems that’s always the last to be considered. I live off of 196 and even before that DG went up there were terrible accidents almost every month at that corner. Still no light. Harder to pull out onto 29, or dare cross it, God forbid. Nothing getting better.
may as well pack them in like sardines, they will be moist in that area. The other subdivision seems better to me, at least every lot is 1 acre.
It’s all “do what you WANT with your property,” until it’s “I don’t want you to do THAT with your property.
Y’all crack me up.
I lived on Barrineau Park Road for about 20 years. I worked downtown and made that drive from the intersection of Barrineau Park Road and Hwy 29 all the way to Palafox Street downtown every day for all of those 20 years. There was a constant flooding issue at the little creek that was near Phillie’s Produce. Lots of wrecks there.
i lived there, rented for 19 years, we had the goats That land along hwy 29 were there building the houses never flooded but the land was very swampy but i have noticed the brought in tons of soil to raises it , I mean i was always getting stuck, as far as eco system the land was poor, mostly sandy soil or clay, a few deer mostly foxes and coyotes, i think the whole time i was there i came across one rattler and one cottonmouth and of course many rat snakes there is a one huge pond and one smaller over flow pond not sure if there still there, Its sad that it is becoming 130 homes but really the land was not that great for what ever reason, the bad part is folks driving 100 miles per hour and i am sure the accidents will be news worthy, Every day it seem a challange getting in or out also it look like all woods but it backs up to pin oak not As woody as it appeared more like a wood buffer between me and the houses on pin oak when i lived there
THE FLOOD GATES HAVE OPENED [ literally and figuratively]!
These commissioners have sold their soul and community’s out.
It will need a 31 acre holding pond.
I used to live on Pinoak Ln. about 12 years ago. That area floods easily. This development will most likely make subsequent flooding WORSE!
Just thinking….money happen.. We had some land on my road that were deemed wetlands … The original owner wanted to build and was told that he could not….. However years later guess what. 3 homes are now on that wet land.. Steve Barry was contacted. And of course we got no reply…… Wetlands are only important.. As long as someone important Until you know the right person to go around it.
They need to think about the ecosystem and all the wildlife that will be displaced out of homes, this is truly sad, if there keep on tearing all the trees down we won’t have any clean air anymore, so they need to think about it while they are wanting to build all these cookie cutter houses. It’s not all about money all the time.
Grew a lot of smoke in those woods; back in 1975.
US 29 is about to become just like US 19 north and south of St. Petersburg. Stop light after stop light. The Suncoast Parkway and Veterans Parkway (both tollways) had to be built to avoid a 50 mile trip that took two hours.
Escambia County had better start acquiring right-of-way for the north-south tollway between Molino and I-10 real soon.
Better build them houses on pontoons for the flooding threw there ask them people on pin oak be sure to get flood insurance lol
I grew up on Pinoak. That’s flood land area. I can’t count the times we got flooded in or out. To the point one time the SO came in on boats and evac the residents bc the water was so high.
These are jump from one roof to the next with no light in between houses.
If you look on a map you will see there is a creek there right where the apartment building will be and that’s where the Storm water goes so if all the wetlands becomes building the poor people that live around this area will flood. Sure is a lot of cleared land and water issues already in this area from clearing the land. Storm water has to go somewhere
Wasn’t quite a bit of this land declared “wetlands” years ago?
What changed?
Those tiny lots are a good thing. They should go ahead and cram as many people into that 31 acres as they can, so less will need to move northward later.
We do not need anymore homes built in cantonment when there are numerous already being built that can’t even be sold.
If I am reading this right, of the 31.45 acres, 6.66 acres is not being built on which would mean that each lot is roughly .18 acres. I’m sure they will not be a very typical subdivision with very typical cookie cutter houses.
New sub division already going in up the road….
Best drop the speed limit from pitman lumber to Quintette rd to 45MPH FOR PEOPLE ALREADY DOING ABOVE 70 NOW!!!! Deadly accidents in the future fore sure
So a 134 lot subdivision that going to be built 31.45 Acres. This is really sad for the ecosystem.