New Dollar General Planned For Walnut Hill; Developer Files Plans
February 14, 2022
Developers have filed an initial Escambia County Development Review Committee application for a new Dollar General store in Walnut Hill.
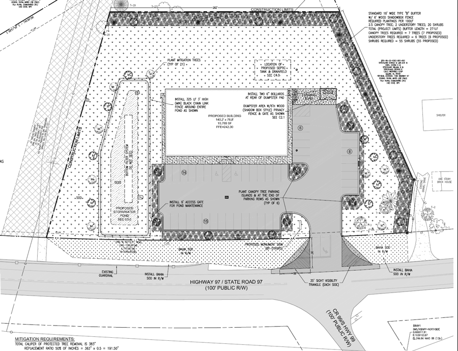
Plans indicate the store will be located at 7100 Highway 97, on the north side of the intersection of South Highway 99. There is currently an unoccupied single family home on the 4.12 acre property, which is across the intersection from a former farm supply retail business.
The development is limited to 2.08 acres, including a 10,769 square-foot store with 43 parking spaces and a new driveway connection to Highway 97 directly across from South Highway 99. There are 35 trees on the site, 19 of which will be removed. There are no wetlands on the property.
Until an update approved unanimously by the Escambia County Commission on August 19, RMU zoning only allowed commercial buildings up to 6,000 square feet with no provision whatsoever to grant any exceptions to construct a larger commercial building.
Now, retail space up to 15,000 square feet is allowed. Properties zoned as RMU in Escambia County are typically located near rural community centers and most are not currently used for agriculture. For a map of RMU zoning in Escambia County, click or tap here (pdf).
The plan is in staff internal review status by the Escambia County Development Review Committee. There is no guarantee that it will ever be constructed after approval.
Last year, Dollar General previously announced a proposal for a store about a mile away at the intersection of Highway 97 and Highway 99A in Walnut Hill, next to Ernest Ward Middle School. The proposed size of the store did not meet zoning requirements at the time (but now would after the BOCC vote). Additionally, there was some minor public backlash against the store due to its location in a curve on Highway 97 and its proximity to the middle school. Plans for this store did not move forward.
Comments
25 Responses to “New Dollar General Planned For Walnut Hill; Developer Files Plans”




Such a sad day when this kinda thing happens! People just can’t leave or woods alone!
The county can’t wait to turn north escambia into a residential area.
Why all the fuss? It might be a good thing especially for the older people and the handicap people. Some of us do t want to drive and wast gas when it could convenient our time and not spend an all day thing in towns that take forever to get to. I think it’s a good idea cause 97 is a long road
Don’t mind any Dollar General . The problem is they don’t cut their grass.They don’t pickup their trash on their property. Look at any Dollar General in town look at their appearance outside.Trashy looking not just Dollar General . Escambia County businesses owners as whole can do better.Trashy people Litter!I work in WalnutHill.Its a clean community .Bring on Dollar General just keep your property beautiful like the rest of WalnutHill!Great hardworking people live here.
Yesss! I literally live right down the street. I use to ride up the street in Cantonment in 1980 on my 3 wheeler and get a Dr.Pepper and Au Gratin potato chips. Pure heaven. Now I can ride up to the Dollar General on my 4 wheeler just like old times (except I will be getting Doans back ache medicine and meta mucil).
Kevin I wish you hush
I live here in Walnut Hill. I vote here in Walnut Hill. I don’t want DG anywhere around Walnut Hill. Atmore is close enough where there’s Dollar General and Dollar Tree. We don’t need it here.
Life is good.
Wow, that escalated. From a convenient new discount store coming to town to the greed-driven demise of all mankind. Seems legit
Escambia just as Santa Rosa are for sale to the highest bidder. It isn’t going to stop. You can’t buy what’s not for sale and codes are created and ammended by those that profit from them.
I was raised in the Ensley area when it resembled Molino today and everyone wanted the country life but then they demanded all the conveniences that they had in town. Look at it now and the cycle just continues as long as greed takes center stage.
Man will be their own demise.
Show up at meetings and do what has to be done to stop the urbanization of the north end. They will not stop.
Why build if they can’t keep the shelves filed in all the rest of the DG’s? Crazy!
Only if Family Dollar will build a block away plus a Walgreens across from a CVS.
A dollar general is not a terrible idea for Walnut Hill. There is nothing between Tom Thumb and the Diamond in Davisville unless you count Coopers in Bratt. People will always hate an idea. Just because you disagree with it doesn’t mean it’s a bad idea.
The answer to the question, “Why are DG’s going up everywhere?” is simple. They are a recession-proof, low risk, high ROI yielding, absolute triple-Net lease investment. People buy from them regardless of economy and they have one of the best cost/return ratios of any retail business for investors. You say you don’t want them, but you know you will sneak in there and buy a gallon of milk, loaf of bread, greeting card, laundry detergent, batteries and a Yoo-hoo on the cheap when you think no one’s watching.
WE DO NOT NEED ANYMORE DOLLAR GENERALS OUT THIS WAY! We can go to century, molino, Flomaton, or atmore! Stop building all this unnecessary crap out here, especially all these dollar generals! Before we know it, it’s gonna be like Pensacola up here!
Hopefully it won’t have the regular exterior… It needs to be like the on at Kingsfield and the road behind the mill ( can’t think of the name). It fits in better to the surroundings.
No please
furthur down
imagine that, ANOTHER dollar general going in. These stores are starting to be on every corner. It’s starting to be like every time you see new construction we think it’s another dollar general coming in. Worse than wally world.
@Why
I don’t a DG is going to make people start moving to Walnut Hill. Just look at Perdido, or Uriah, they have had one for a few years and it’s still very rural.
I do think when they are in isolated areas like that, that they tend to get robbed more, because criminals know there aren’t any cops nearby.
@ Why:
A rhetorical question that has been tossed about in North Florida for many years. The answer seems to be “I’ve got mine…you go somewhere else to find yours.”
@Why?
$
Intersections are a bad place for any business.
The DG at the intersection of Hwy 29 and Neal Road is a perfect example.
Dollar General, a great store, but often placed in locations that/which created a dangerous traffic hazard.
Why are the ‘powers that be’ so determined to put a Dollar General in Walnut Hill? Why can’t we just stay a small rural community?