Large Grocery Store, Smaller Shops Proposed For Beulah
April 15, 2019
A large grocery store and several smaller shops could be on the way to the southeast corner of Nine Mile and Beulah roads in Escambia County.
The Escambia County Development Review Committee will hold a pre-application meeting on Wednesday for the project at 8684 Beulah Road.
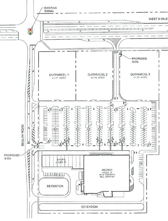
Drawings for the development show a 48,387 square foot anchor grocery store, several small shops totaling 13,800 square feet and three available commercial out-parcels of just over an acre each.
The name of the grocery store has not been revealed by developer Blackwater Real Estate of Birmingham.
There are several additional steps required in the permitting process before the project could become a reality.

Comments
36 Responses to “Large Grocery Store, Smaller Shops Proposed For Beulah”



My family bloodline in Beulah goes back many, many generations. I dearly love the Beulah I grew up in, that’s why I built my home in Beulah, I wanted my sons to experience Beulah as I did. Growing up here afforded me to know what not only the love of family was and is but the love of friends, real friends. As kids it was safe to walk or ride our bikes all over Beulah, there was no fear! We all went to school together, worshipped God together in our churches, we went to our friends houses to play and it was fine with my parents for my friends parents to tear my butt up if I needed it. A previous writer stated that Beulah wasn’t just a place, it was a heritage, how true! A heritage we loved and were so proud of. I miss the dirt roads, Uncle Percy’s store, Twilleys, Halsteads, Twin Gables, Lakeside Inn, Beulah Baptist Church, Beulah Hardware, Aunt Betty’s Beauty Shop, the old Beulah Elementary School, my bus drivers Mrs. Cobb and Mrs. Lee. Even my school bus drivers were kind of like mamas, I loved them! My friends meant so much to me, I loved them and still do. For those of us who were born and raised here as were our parents, grandparents and even great grandparents we know God has blessed us beyond measure to have allowed us to grow up in the most wonderful place on earth, Beulah Springs!!! Without the founders and families of this once small, country community Beulah would have been just a place but thanks to all our families, Beulah has been indeed, a heritage, a great big, loving heritage!!!
This all started when navy federal moved in and became it’s own city. Now everyone wants to live close to work.
Hey there are too many nasty trees let’s save the people from those ugly green fields and unsightly trees and replace them with CONCRETE! Hey let’s add traffic lights and more traffic because people love that. Hey it’s hard to drive on the water let’s fill in the lakes with concrete. We can build concrete statues of all the wildlife people enjoyed, it’s practically the same thing. Let’s fill in the rivers and oceans with concrete and make huge shopping malls. When do they ask the people? I want Beulah to stay suburban that’s why I moved there! If I wanted the city I would have moved there. We don’t need more freaking shops, there’s too many as it is.
I think it’s progress. There are so many homes going up we will need these shops. There are always those that will complain but I feel it will be for the god d of the community. I only worry about the traffic
@Yuck man I hope you are not correct because those Walmart “market” stores are awful none of the items you need from a Walmart with a “wannabe Publix” attitude.
Chris you have to love Century they give Free Utilities.
Brand new neighborhoods are popping around there like weeds, these families have to eat! A grocery store is not a threat! (better than the unsightly bar that was across tbe street) Hopefully it IS a friendly staffed Publix, which has way more grocery choices than the others. The peeps across the Alabama line sure could use a shorter drive.
It’s another stinking Walmart neighborhood store. You can tell by looking at the design, particularly the east side of the building. It’s a pharmacy drive thru just like both Walmarts on Pine Forest Rd. Have a look at the aerial images online.
It’s no wonder the developer wants to keep it secret. That’s a clue. Just about any grocery chain would’ve been better.
one more reason to love Century
Having lived in both small town Brewton as well as larger developed areas, the small town atmosphere is nice and peaceful, but not much for either shopping or jobs.
Knuckleheads should have planned for the traffic ahead of time. It’s bad enough now.
Our commissioners are not the smartest bunch, but I’m sure they got their palms greased…?
Century doesn’t fight growth. They repel it.
Lmbo….. if you don’t want this stuff built around you then buy the land don’t cry what people are doing to develop the land the own. I bet everyone of you will be going to the stores and shopped for goods and services.
I am guessing that some like Tom have not had the privilege of living in the country as we have. Tom, you say move. We did in the 60’s so are we to move every time developers start infringing on our country living? I’m sure that the people of Beulah would disagree with you as I do. Or maybe TOM WOULD LIKE TO PAY FOR ME AND THE REST TO MOVE TO THE COUNTRY. We are not the pathetic ones Tom.
All the while the under-the-table deals were being made, those of us who have enjoyed the country life for so many years were led to believe that we would have some say in the development in and around our beloved community. That was like leading the lambs to slaughter. You have clear cut our beautiful old trees, encroached upon our wetlands and destroyed our landscapes. This is the worst case of non-planning ever. No time for such trivial things. Just keep throwing up sub-par houses as close together as possible and keep lining those pockets. And when you’re through decimating our once beautiful Beulah, you will be long gone without a care in the world for us. We, the residents of the country community that was once not even on anyone’s radar, will be left to look at and drive through the mess you have made.
We live in a great city that has grown so much. Roads can barely handle it all. But on the other hand, our city was planned pretty well and everyone loves it here. We think all the time about moving back to Pensacola but every time we visit we come to the conclusion that it’s stuck in the past. I think it’s up to the commissioners to have a good plan for progress that doesn’t go too far.
If you want to live in the “country” then move, but maybe use common sense and realize that you need to get a ways away from the city to stay in the country. Eventually Molino will be Bealuh if time continues. People are still multiplying and that’s just the way of it, like it or not. I’m all for planning and transportation infrastructure but to constantly whine about all the new development is pathetic, there’s plenty of open land in the north end of the county or maybe think about going to Texas I hear it’s big.
You fight growth you end up like Century it is as simple as that.
I heard it was going to be a Rouses Market.
I am sure that Molino would be more than happy to except a Publix Grocery Stores.
About 25 years ago I moved to Beulah, where stores, restaurants and other businesses did not encroach on my home. I don’t believe any Beulah residents were asked what they thought of this build up of businesses instead of a quiet place to raise their families and to retire. I am saddened and disappointed by the destruction of one of the nicest places in Escambia County.
No I think you are sadly mistaken Positive Growth;
Some have called Beulah home for many your. I, living here for over 50 years, love my home and the community around me. Each of us live in the Land Of The Free! My family moved here to escape the noises and sounds of a growing Pensacola in the 60’s. My parents had that god given right to raise their sons in the country. These yahoos have the same right to live in a city setting. Now I turn my head to strangers living close to me. I have had neighbors that physically hurt or abused their spouses and have no clue what their last name is. That is sad. If people want to build a grocery store, our political leaders will see it through and we will have no say so in the matter but don’t point fingers saying we are wrong. We as a community, know what we want and big business is not it. We want the quiet tranquility we deserve just like our parents! Get your story right! Self appointed Mayor of Beulah, Olin Stacey Schultz
Everyone says they want jobs, higher pay but none want the growth that comes with it. true its bad for Beulah residents that had a quiet lifestyle. I hear folks say Studer ruined downtown, the hospital, wants his name on everything etc. Navy Fed has done the same to 9mile and Beulah. I don’t mind growth but somethings need to be untouched. The beach also ruined, by all the extra tourist, prices racing upwards for housing, traffic nightmares. However; property values are up, people are able to buy more, have more, obtain a better way of life, and hopefully a better future for all.
Pensacola will never equal mobile or any other big city, but it will grow, needs to grow in order for us all that live here to have and be better. lived here all my life, and this town needs to expand, but it needs to be done with a better understand of whom it impacts and their current lifestyle.
I moved to Beulah almost 25 years ago to get away from stores, restaurants and other businesses practically on top of our homes and encroaching on peace and quiet. I am very disappointed no one asked Beulah residents what we wanted not that it would have mattered to the county commissioners.
Kathleen. Did you not realize that there was not a grocery store in Seminole when you moved there? And what do you mean when you say “I hope we get it approved”? You live out of state. You do not have a dog in this fight.
And to positive growth. You just do not get it at all. To some folks being “stuck in the 70’s” is how they may want to live. Don’t you go feeling sorry for the people who enjoyed a simple, peaceful, humble living within there means lifestyle. Save the rat race for the folks who like to live on 25 ft wide lots in the city.
Maybe they could ad a planet fitness. I would like that at least people would actually have somthing to do out here then. Walking through the neighborhood is getting risky with all the traffic and no sidewalks and lighting is awful most residents pay for all the extra lighting unlike intown residents. Sometimes I think we should stop paying for all the extra lighting and let the county figure that one out. Also WHY can we NOT get a bus out here every other part of Escambia County has one. If they are gonna continue to make us grow we should have some of the other stuff others get. Our children should be able to ride the ECAT bus this summer places instead of just walking to the dollar store and dodging traffic traveling at high speeds.
I live in Seminole and it’s a long drive to go grocery shopping. I have to drive either to Robertsdale or Pensacola to do my shopping. It’s definitely needed .I hope we get it approved.
Just think…for a moment…how much money and eye winks..being passed under the table in all this beulah “progress” in the name of the future. A bunch of people getting rich off this and trying to make all think they really care about anything in their life..but money.
Beulah was a heritage, not a place.
Commissioners and other real estate ops are bought and sold here everyday. Some of them even diminish the street walker
Professional girls
Check out the developers website. They have built a lot of Publix Grocery Stores.
No thank you !!!
We already have all and more than we can contend with now..
If you look at the developers website, it is pretty clear what the Anchor store will be. They have built a few Publix. I wonder if this is what we can expect.
Sad? Why is it that every time there’s any growth around here people say it’s sad? No wonder Pensacola and the surrounding area are stuck in the 70’s. Job growth, new industry……..no thanks, we’ll pass because we need to keep that small town attitude and charm. And we wonder why all the talented job seekers around here leave, why we have the lowest income growth and wage average in the state and new industry walks away.
So…..I’m seeing another Walmart grocery, Dollar store, and fast food?
Is it possible for Century to annex Beulah?
Just say No.
Sad for the residents of Beulah, that their tranquil lifestyle has been shattered.