New Convenience Store At Highway 29, Highway 97 In Molino Gets Escambia County Approval
March 5, 2020
Plans for a new convenience store at the intersection of Highway 29 and Highway 97 in Molino received final approval Wednesday afternoon from the Escambia County Development Review Committee.
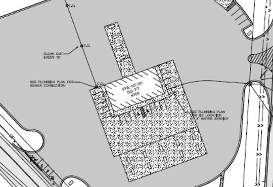
DGS Holdings of Atmore’s plans to build the store on an 8.22 acre parcel (pictured) directly across Highway 97 from the current Tom Thumb. In late 2017, plans were submitted to Escambia County by Diamond Gasoline of Atmore for a convenience store on the property, but that project was not completed.
Current plans show a 4,700 square foot building with fuel pumps in the front and rear. Water will be provided by Molino Utilities, and the building will be on a septic system.
Developers are proposing a turn lane from Highway 29 southbound and for west access from Highway 97. The turn lanes will require a Florida Department of Transportation access permit that is currently in the application process.
Before construction could begin, an Escambia County building permit must be issued. County records show that building permit applications have been submitted and are awaiting approval.
NorthEscambia.com photos and graphics.
Comments
25 Responses to “New Convenience Store At Highway 29, Highway 97 In Molino Gets Escambia County Approval”






I agree with EMD. Add a Walmart and restaurants will follow. Build a Walmart.
WOW!!! good idea…………WOW!
I’m glad to see it finely coming to give Tom Thumb some needed competition. As for Crabtree Church Road the only way to fix that mess is to turn it just south of the tomthumb and connect to 29 and make a new entrance to the tom tumb
Wonder if the gas prices will be competitive with other large suppliers in the area? Or will it be marked up 0.10 per gallon like the N. Hwy 96 station? .10 cents on average higher then the Atmore location just 3 miles north. Prices should be competitive in close proximity to others in the area to allow a full range of choices for the consumers. This location is the closest for us for fuel and little items and another option if not a larger retailer would at least keep each other competitive if done right.
@ben
I agree with you, it would be better on the northbound side of 29, less people crossing over through traffic.
Gonna put a hurting on Tom Thumb . They’ve been taking advantage of locals with their ridiculous gas prices for years. About time
It’s a coming, like it or not. Just wait what arrives after sewage piping and lift stations are installed up here.
Hang on to them thar britches.
hey, if you moved out here in seventytwo or seventythree, alot of time has passed and you really can’t expect for there not to have been some change. the population has exploded with women pumping out babies like that is their mission in life, good thing is we have many, many millions of acres to spread out in, albeit maybe at the expense of crop producing space.
take for example Japan, even with their efforts at population control, it is mostly too late for them, they are living stacked on top of each other. the USA should learn from this but probably won’t. by the time the roads around here are all expanded, it will be time to expand them again.
the earth will not catch a break, and eventually nature will have to correct itself with some sort of plague. this won’t happen for many lifetimes, though.
it would help if it was on the north bound side of 29.
It’s interesting to read the comments here. Some people want a Walmart or other brick and mortar big box stores. Some people want Mayberry. Urban sprawl would dictate that the growth continues Northward.
Y’all country folks kill’s me always telling people where they can and can not live I thought this were a free country.
Looks like no more turning onto Crabtree! It is crazy turning there with no real turn lane. So many people get upset, drive around, or almost hit you. Especially the 18 wheelers, who don’t know what a brake is!! Guess now all of us who live on Crabtree, Sunshine, or Gibson will have to go past Molino Park. But if you think about it, Sunshine has turns that are sharp and little to no visibility. And Gibson, good lord you can barely fit a school bus down it. Those two roads are NOT up to all those crazy drivers and traffic. Only road left is Molino Rd, but there is all that crazy construction and good bit of traffic. Fix our roads and intersections first before someone else gets killed or severely hurt, use your mind not your greedy hands!
Beulah is full and overflowing north.
We dont need any of this out here. This is a farm community. All these outsiders coming in want more more more. Dont like the country then dont live here
I live on Crabtree, I hope Diamond sells Shell gas.
I’m tired of driving out 20 + miles to buy
gas cheaper. Tom Thumb does not
take Citgo gas cards any longer, and prices
are a rip off. Some Diamond owned
Stations give 10 cents a gallon off gas
With a Shell card. Yes we need a
Walmart especially now with roads
So messed up and traffic. Both will bring
More jobs for people in Molino. Call Walmart
Corporate if enough of us do it maybe they will
Listen
This is stupid why do you need another convenience store. The commit about subdivisions ! Why !! Leave us country folks alone !!! We live out in the country for a reason. I hate new development in a farm community!
Really??!! You want all that junk to come to Molino? The majority of people in Molino that moved out this way wanted to be on larger spots of land and not have bunches of retail around them! I know there are pros and cons of development. I personally hate all the light pollution coming this way. That station will be lit up like you can’t imagine. And there is a criminal element all the development brings as well. I agree with Lynn, people have to get onto Crabtree to get to their homes! People also have to get their kids to school in the midst of what has become a speedway to the casino. There should have to be proper growth planning and roadways put in prior to development here, but we all know that is not how it works in Escambia…build it up until there is horrible traffic, then try to get in the middle of all of it to fix it…remember Beulah??!! Yep, how many people avoid that area if at all possible. It is a nightmare, and I hate to see that happen up here. We don’t need a Walmart and a bunch of retail in our back yards, there is all that stuff within a 30 minute drive and if you don’t want that drive, the DG has most things to get you by! Enjoy this sweet place we have out here..don’t ruin it!
CW, some of us live down crabtree church road, and we’re tired of not being able to make a turn without people driving around us, flipping the bird, and honking at us because we’re trying to get home!!
This is so ignorant. We have to go that way to take our children to school, they can’t be bothered to make the road work though so we just hope we don’t slam into the people who are stuck waiting to turn into Tom Thumb/Crabtree or that 18 wheelers trying to turn in there don’t take us out because they don’t even check up they just turn across all lanes. I hope nobody goes to this stupid gas station. Serve them right. There doesn’t need to be anything else in Molino until they can figure out that a red light doesn’t fix everything instead of just throwing one at every intersection.
For those wanting more development just wait, plans are already being made to put in multiple subdivisions up 97. The traffic will become unbearable quick, like trying to come down Woodbine in Pace
Time to sell that new house
I wonder if the neighbors in that house are dreading that, the parking lot goes right up to yard! Think I would be getting a privacy fence!
Well I hope they put in some kind of turn lane on 97, it’s bad enough already with people slamming on brakes in front of you to turn onto Crabtree.
Why another Tom Thumb type store? We need a fast food restaurant or a nice eat in restaurant in this area, or a Publix would be wonderful. A Wal Mart would be nice too. I do not understand this. Seems coo coo to me.
cool. i’d have rather it been a walmart, but competition between 2 convenience stores is a good thing. a flying j or similar truckstop would have been cool too. grocery, fastfood, stripmall, all good things, progress. modern day things, like casinos, bars, restaurants, tanning salons, massage parlors, hookah clubs like on Olive Road, medicinal pot shops, all will be a ways down the road.
and men, we will always hafta go into town for certain entertainment. Remember Someplace Else on 29 and West Roberts? Those days didn’t last long.