7-Story Office, Apartment Tower Proposed For Highway 297A Just Off Pine Forest Road
July 24, 2023
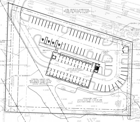
An investment company is proposing a seven-story tower with professional offices and apartments near the intersection of Highway 297A and Pine Forest Road.
Goeller Investments of Pensacola has submitted plans to construct the 8,000 square foot building on 1.89 acres at 4101 Highway 297, just off Pine Forest Road.
According to those plans, the mixed used building would have 6,000 square feet of professional offices on the lowest level, above parking, with a mix of 32 one, two and three bedroom apartments above in the seven-story building reaching 98 feet high. The building footprint is proposed at about 66 feet by 120 feet.
An initial application has been submitted to the Escambia County Development Review Committee for a pre-application meeting on Wednesday, July 26 at 1 p.m. at the Escambia County Central Complex Building at 3363 West Park Place.
NorthEscambia.com graphic, click to enlarge.
Free Lunch Still Available For Youth At Libraries In Escambia County
July 24, 2023
Free meals for youth continue to be available five days a week at West Florida Public Libraries branches until the first day of school.
In conjunction with Feeding the Gulf Coast, the meals are served as follows:
Monday-Friday, Noon – 1 p.m.
- Bellview Library
- Molino Library
- Pensacola Library
- Southwest Library
- Tryon Library
- Westside Library
Tuesday-Saturday, Noon – 1 p.m.
- Century Library
The meals, which must be consumed at the library, are for children 18-year old and younger. The meals are also available for disabled individuals 19-years or older who participate in a public or private non-profit program during the school year.
The meals are available on the daily schedule above through August 9.
NorthEscambia.com photo, click to enlarge.
Florida Gas Prices Slide Up A Few Cents On Average
July 24, 2023
Gas prices increased a few cents on average last week in Florida.
The average price per gallon Sunday in Florida was $3.47, up from $3.41 last week, according to AAA. In Escambia County, the average per gallon was $3.30.
In North Escambia, a low of $3.09 was available at one station on Highway in Cantonment. In Pensacola a low of $3.01 could be found on Nine Mile Road.
Sunday’s state average remained below this year’s high of $3.72 per gallon.
NorthEscambia.com photo.
Sunny Skies And Drier To Start The Week
July 24, 2023
Here is your official North Escambia area forecast:
Monday: Sunny, with a high near 93. North wind around 5 mph.
Monday Night: Mostly clear, with a low around 70. Southwest wind around 5 mph becoming calm in the evening.
Tuesday: Sunny, with a high near 93. North wind around 5 mph becoming southeast in the afternoon.
Tuesday Night: Mostly clear, with a low around 71. Southwest wind around 5 mph becoming calm in the evening.
Wednesday: A 20 percent chance of showers and thunderstorms after 1pm. Sunny, with a high near 93. Northwest wind 5 to 10 mph becoming southeast in the afternoon.
Wednesday Night: Mostly clear, with a low around 72. South wind 5 to 10 mph becoming light southwest in the evening.
Thursday: A 40 percent chance of showers and thunderstorms after 1pm. Sunny, with a high near 92. Northeast wind 5 to 10 mph becoming south in the afternoon.
Thursday Night: Mostly clear, with a low around 71. South wind 5 to 10 mph becoming light and variable after midnight.
Friday: A 30 percent chance of showers and thunderstorms after 1pm. Sunny, with a high near 93.
Friday Night: Mostly clear, with a low around 73.
Saturday: A 30 percent chance of showers and thunderstorms. Sunny, with a high near 94.
Saturday Night: Mostly clear, with a low around 74.
Sunday: A 40 percent chance of showers and thunderstorms. Sunny, with a high near 95.
Eubie Oneal Steadham
July 24, 2023
With heavy hearts at 6:25 a.m., July 20th, Heaven opened the doors for our daddy, Eubie Oneal Steadham. He was 93 years young and we will miss him dearly. He was a loving and devoted husband, father, brother, grandfather, great grandfather and everyone’s friend.
He was preceded in death by his loving wife of 55 years, Christine O’Connor Steadham, his brothers, Arnold, Clifford, Glenn and Gordon, his sisters, Mildred, LaVerne and Sue. He is survived by his children, Margaret (Steve) White, Brenda (Roy) Stewart, Linda Steadham, Sandy Wyse, Scott (Tammy) Steadham, Michael (Michelle) Steadham, his sisters, Ouida (Bruce) Turner and Gayle Autin. His grandchildren, Aubrey (Brent Walden) White, Jennifer Stewart, Jackie (Josh) Kuechle, Timothy Hurd, Alicia (Derek) Bridwell, Gregory (Amberleigh) Steadham, Mathew (Kayla) Steadham, Spencer Steadham and Gavin Steadham. His Great-Grandchildren, Hayden Harrison, Molly Harrison, Kate Kuechle, Madison Rayfield, Cameron Hurd, Caleb Hurd, Ethan Bridwell, Nathan Cole and Connor Steadham.
He was born in McCullough, AL, September 26, 1929, and lived in Cantonment, FL, since 1953. He grew up farming, hunting and fishing and had a passion for these all his life. He passed his love of these things to his family. He served in the Army during the Korean Conflict and was stationed in Germany during his tour of duty. Upon completion of his service to our country, he began his 40-year career in the bagging industry at St. Regis Paper Company in Cantonment.
All of these things did not define him, what defined him was the family he built, there was nothing more important to him than that. It was at St.Regis Paper Company that he met his wife, Christine. He looked across the conveyor and was smitten. They were married within months of their “first date”, which was technically a lunch date at work. They raised their six children together on “Steadham Hill” and welcomed many family members and friends to share their home.
He looked forward every year to the two-day celebration of family and friends, better known as “Eubie Day”. He loved seeing all those that came to celebrate with him and the food they brought. The celebration began when he retired in 1993 and continued through 2020.
His Celebration of Life will be Tuesday, July 25, 2023, at Eastern Gate Memorial Funeral Home. Visitation from 10:30 a.m. unit noon, Services to follow. Procession at 1 p.m. to Holly Grove Family Cemetery in Gateswood, AL, with graveside services at 2:00 pm.
Pallbearers will be his grandsons: Aubrey White, Timothy Hurd, Gregory Steadham, Mathew Steadham, Spencer Steadham and Gavin Steadham.
Eastern Gate Memorial Funeral Home, 1985 West Nine Mile Road, Pensacola, FL 32534. A funeral service will occur Tuesday, July 25, 2023, from noon until 1 p.m., 1985 West Nine Mile Road, Pensacola, FL, 32534. A committal prayer service will occur Tuesday, July 25, 2023, from 2-2:30 p.m. at Holly Grove Cemetery, Holly Grove Cemetery Road, Robertsdale, A, 36567.
Johnston and Johnson Lead Pensacola To 7-2 Victory Over Trash Pandas
July 24, 2023
The score was tied, the bases were loaded and up stepped Troy Johnston in the eighth inning Sunday with Blue Wahoos Stadium abuzz with anticipation.
He delivered, of course, just like he’s so often done these two seasons in Pensacola.
Johnston laced a pitch down the right field line for a two-run double, which followed his run-scoring double in the sixth inning, to again become the offensive star of the Blue Wahoos’ 7-2 victory against the Rocket City Trash Pandas, which put a bow on a memorable homestand at the bayfront ballpark.
“I didn’t think (the Trash Pandas) were going to give me much to hit,” said Johnston, who has surged his batting average to .296. “(They) actually gave me two pitches to hit. The first one (from reliever Kelvin Caceres) I fouled off… got a little big (with swing).
“Of course, me being me, I was trying to hit a home run. But the second one I really honed in, I was like, ‘Alright, I gotta get the bat on the ball,” and tried to make something happen. I squeaked it down the first base line and (became game-deciding) hit.”
The Blue Wahoos tacked on three more runs in the inning on RBI hits from José Devers and Cody Morissette, plus a pitcher’s balk in between that scored Johnston. The win was Pensacola’s fifth in the six-game series against Rocket City, the Los Angeles Angels affiliate, located in Madison, Alabama, near Huntsville.
It boosted the Blue Wahoos record to 53-36, by far the best in the Southern League, and 12-9 in the second half of the season.
Earlier Sunday, the game’s pivotal performance was delivered by Blue Wahoos right-hander M.D. Johnson. He rebounded from a rough outing in his previous start where he allowed 10 runs July 16 against Birmingham to now twirl his best game this season.
Johnson, 26, a Dallas, Texas native, made his 16th start a sweet one, allowing just two hits and no runs in six innings. He matched his season-high with nine strikeouts and walked just one batter.
Of his 85 pitches, 52 were strikes. After giving up a leadoff double, then hitting the next batter to start the game, Johnson struck out the next three batters in succession. He faced only two batters above the minimum the rest of the way and finished off his pitching gem by striking out four of the last six hitters he faced.
“He was our spark plug, ultimately,” Troy Johnston said. “M.D. kept us in the game all day long and really just pitched his butt off. I am really thankful I was on the other side of that, playing defense and not offense.”
When Johnson left, the Blue Wahoos led 2-0 after a sacrifice fly RBI from Morissette in the fifth inning and Johnston’s double in the sixth.
Rocket City tied the game off first reliever Josan Méndez in the seventh.
But in the eighth inning, Nasim Nuñez led off with a walk. Griffin Conine singled. Avisaíl García, the Miami Marlins outfielder on a rehab assignment, walked to load the bases. That set the stage for Johnston.
“Any way we can get a win, I’m excited, especially on a Sunday,” said Johnston, who went 12-for-26 in the series with 11 RBI.
The Blue Wahoos next begin a road series Tuesday against the Mississippi Braves in the final week of games before the Major League Baseball trade deadline on August 1. This is a point in the Minor League Baseball season where roster moves are made and the Blue Wahoos could have a different makeup in the next few days.
With his success, there’s always a possibility Johnston gets elevated.
“Ultimately, I am just like every other kid… like a 12-year-old who wants to be a big leaguer,” Johnston said. “So for me, this is a stepping stone and I hope I get the call sooner than later and I will try do my best in whatever place they put me in.”
The Blue Wahoos will have Monday off before leaving on Tuesday for Pearl, Mississippi and a six-game road series against the M-Braves, the Atlanta Braves affiliate. It will be their second trip this season to Trustmark Park. The M-Braves will return to Pensacola for a third time on September 12-17 for the final homestand of the season at Blue Wahoos Stadium.
The first game of the upcoming series against the M-Braves will begin at 6:35 p.m. Tuesday.
by Bill Vilona, photo Nino Mendez / Pensacola Blue Wahoos
Escambia Man Charged With Homicide After Shooting In Lounge Parking Lot
July 24, 2023
A man has been charged with homicide following a shooting Friday night at an Escambia County lounge.
Michael Andrew Rodriguez, 39, was booked in the Escambia County Jail without bond.
The shooting happened just before midnight Friday in the parking lot of Sam’s Lounge on North Old Corry Field Road. Rodriguez allegedly shot the victim before fleeing on foot.
There were no details on a motive released.
FWC Law Enforcement Report: Boating Violations, Underage Alcohol
July 24, 2023
The Florida FWC Division of Law Enforcement recently reported the following activity:
ESCAMBIA COUNTY
Officers Bower and Corbin were on patrol in the Pensacola pass and observed a vessel with a youth passenger under the age of six years old not wearing a life jacket. A vessel stop was conducted to perform a boating safety inspection. The operator showed signs of impairment and the officers determined it was not safe for the operator to navigate home. The officers placed the operator under arrest for boating under the influence. They also ensured the child was safely reunited with another guardian.
Officers Bower and Ramos were on patrol at Fort McCrae and observed several vessel occupants that appeared to be underage and drinking alcoholic beverages. When the occupants saw the patrol vessel, they began to hide the alcoholic beverages. A vessel stop was conducted to perform a boating safety inspection. The officers determined the three subjects were under the age of 21 and consuming alcoholic beverages. Throughout the stop the operator of the vessel showed signs of impairment and was placed under arrest for boating under the influence.
Officer Hahr initiated two derelict vessel cases in Bayou Chico. A man and woman took possession of two older sailboats and were unable to keep them operational. Both ended up sinking within a week of each other. The subjects were charged with allowing a vessel to become derelict on state waters.
Officer Hahr was on patrol and conducted a stop on a boat returning from the Gulf of Mexico to conduct a resource inspection. The vessel had a limit of red snapper on board and was on its way back to Alabama. He was issued a notice to appear for possession of red snapper during the closed season.
Officer Hahr responded to assist the Pensacola Police Department with a subject that was observed shooting a bird and then trying to hide it in a dumpster. Officer Hahr identified the bird as a yellow-crowned night heron. The man admitted to shooting his automatic BB gun near the bird but stated he wasn’t trying to kill it. The witnesses on scene stated the man deliberately aimed at the bird and kicked it into the water after it died. While the witnesses called 911, the man took the bird to the dumpster and threw it in behind a mound of trash. The man was charged with taking a protected migratory bird and willful and wanton waste of wildlife.
SANTA ROSA COUNTY
Officers Bower and Long were on patrol and observed a vessel without proper navigation lights displayed. A vessel stop was conducted to address the violation and a resource inspection was performed. It was determined that Officer Bower stopped the same operator the week prior for the same violation. The operator did not have a valid Florida fishing license and was found to be in possession of an undersized seatrout. The subject was issued a notice to appear citation for harvesting an undersized spotted seatrout.
Officer Bower was on patrol and conducted a stop on a vessel that was missing vessel registrations numbers. The following day the vessel was listed for rent by a privately owned livery. An investigation revealed the owner was renting his personally owned personal watercraft vessel. A safety inspection was conducted to ensure the subject had all the required documents, permits and safety equipment. It was determined the subject did not have NASBLA-approved boater safety education, boating safety signage, FWC livery permit or a FWC rental form and failed to do an on-the-water demonstration to ensure the subjects knew how to operate the vessel. Officer Bower and Officer Corbin educated the subject about how to become compliant with the livery laws. The subject was issued a notice to appear for not having a NASBLA-approved boater safety and issued warnings for the other violations.
This report represents some events the FWC handled during the time period; however, it does not include all actions taken by the Division of Law Enforcement. Information provided by FWC.
NorthEscambia.com photo.
Janis Sue Scott
July 24, 2023
t, 73, of Pensacola, FL passed away on July 21, 2023. She was born in Pensacola, FL on July 29, 1949, to Eben Pete Olsen and Effie Townley Olsen.
Janis had a good career as a banquet manager for Marriott. She was an active member of Gonzalez Baptist Church over the past few years using her passions for cooking, catering events, and decorating cakes for others.
She is preceded in death by her parents, Pete and Effie Olsen; her sisters, Helen Cole, Ruby Moore, Mary “Doodlebug” Ferguson, and Frances Hampton; and her brothers, Pete Olsen, Willie Olsen, and Michael Olsen.
Janis is survived by her husband of 54 years, Larry Allen Scott; son, Teague (Kelli) Scott; daughter, Janette Scott; grandchildren, Alexandria Stacey and Zander Scott; sisters, Nelree Williams and Janey (Tom) Hood; and brother, Jerry Olsen.
In lieu of flowers, please donate to the charity of your choice in memory of Janis Sue Scott.
Funeral services will be held at 2:30 p.m. on Thursday, July 27, 2023, at Faith Chapel Funeral Home North with Pastor Mike Mashburn officiating. Burial will follow in Klondike Baptist Church Cemetery.
The family will receive friends at 1:30 p.m. prior to services.
Faith Chapel Funeral Home North is entrusted with arrangements.
35,000 Pounds Of Food, 350 Backpacks Benefit Hundreds Of Families (With Photo Gallery)
July 23, 2023
Hundreds of families received a helping hand Saturday during a food and backpack distribution in Gonzalez.
A large group of volunteers distributed 30,000 pounds of food and 350 backpacks filled with supplies and socks in about an hour and a half at the Gonzalez Methodist Church.
Rep. Michelle Salzman, the Gonzalez Methodist Church and other community partners sponsored the event, which was open to all in need with no eligibility requirements.
For a photo gallery, click or tap here.
NorthEscambia.com photos, click to enlarge.














