NOAA Predicts Near Normal Hurricane Season
May 25, 2012
The 2012 Atlantic hurricane season looks to be near normal, according to predictions released Thursday by NOAA.
For the entire six-month season, which begins June 1, NOAA’s Climate Prediction Center says there’s a 70 percent chance of 9 to 15 named storms, of which four to eight will strengthen to a hurricane. NOAA predicts that 1-3 of those will strengthen into a major hurricanes of Category 3 or higher.
The seasonal outlook does not predict how many storms will hit land.
Based on the period 1981-2010, an average season produces 12 named storms with six hurricanes, including three major hurricanes.
“NOAA’s outlook predicts a less active season compared to recent years,” said NOAA Administrator Jane Lubchenco, Ph.D. “But regardless of the outlook, it’s vital for anyone living or vacationing in hurricane-prone locations to be prepared. We have a stark reminder this year with the 20th anniversary of Hurricane Andrew.” Andrew, the Category 5 hurricane that devastated South Florida on August 24, 1992, was the first storm in a late-starting season that produced only six named storms.
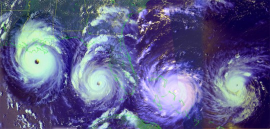
Pictured: August 24, 2012 will be the 20th anniversary of Hurricane Andrew’s devastating landfall in South Florida. Images courtesy NOAA for NorthEscambia.com, click to enlarge.
Comments
5 Responses to “NOAA Predicts Near Normal Hurricane Season”



I am glad we invested in the metal hurricaine window panels. These are a lot less work than plywood.
Guess we are about due for one, but hope not. The best thing is is to be prepared to take care of things for a week or so after a storm. Plenty of canned foods, a way to cook, water to drink is the basics. Those who have medical needs need to evacuate. The lack of power, and unless you have a generator with plenty of fuel, can make life miserable for those who have forgotten, or never been in a storm before.
I just saw the list and there are some normal names on there!
I have a suggestion for them. Quit guessing, they are always wrong with their predictions. Also, use some American names for a change when they name these storms.
I hope they’re right. I find it hard to believe, though. We didn’t really have a winter and Spring lasted what, three weeks? We had trees blooming in February, which is, I’ve been told, the coldest month of the year! How often do we see the first storm of the season two weeks before the season even starts? I sure hope they’re right…