County To Spray For Mosquitoes Tonight In Cantonment, Scenic Hills Areas
October 17, 2018
This is archived story. Information is no longer current.
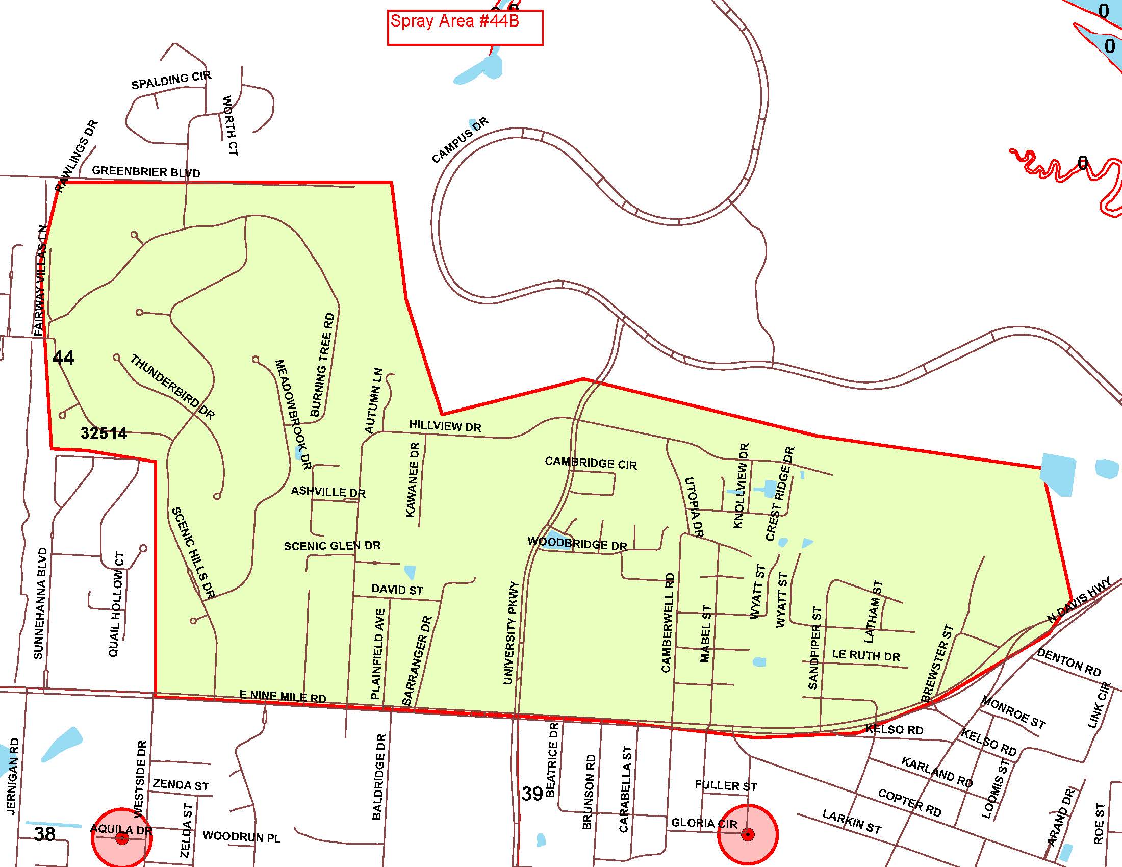
In an effort to reduce the mosquito population in Escambia County, the Mosquito Control Division has filed a “Notice of Intent” to proceed with fogging missions on Wednesday, Oct. 17 in Commission District 5. Mission hours vary, but typically occur in the evening hours from 6-9:30 p.m.
The areas are roughly west of Highway 29 between Muscogee Road and Kingsfield Road, an east of Chemstrand between East Nine Mile and East Ten Mile roads.
When possible, pre-application and post-application surveillance is performed to ensure fogging is warranted. Methods used to determine need include dry ice-baited light traps, landing rate counts and service requests received from the public.
To make a request for service or an area to be listed as a no spray area, please call 850-937-2188, submit an online request here or email mosquitocontrol@myescambia.com.
Comments
One Response to “County To Spray For Mosquitoes Tonight In Cantonment, Scenic Hills Areas”



I see the Escambia County Florida’s Mosquito Control Division is paying attention to the mosquito problem and are spraying the NORTH END OF ESCAMBIA. Seemingly the north end of Escambia County Florida ends at Nine mile road. The black hole from Nine mile road and the Alabama line gets nothing. Should we form our own county and maybe start our Mosquito Control Division. just saying