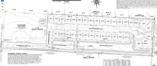
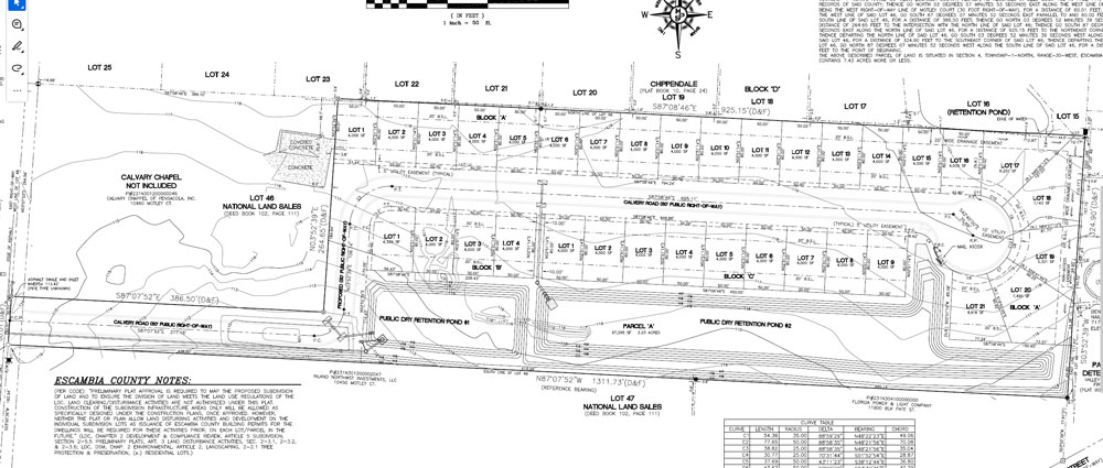
New 34-Lot ‘Calvary Estates; Subdivision Proposed North Of East Ten Mile Road
January 11, 2026
A new 34-lot subdivision is planned along Motley Court, just north of East 10 Mile Road.
If the proposal by Calvary Ridge, LLC is approved, Calvary Estates will be located on 7.4 acres behind the Calvary Chapel at 10460 Motley Court. The subdivision will have a density of 4.58 dwelling units per acre.
The property is currently zoned for medium-density residential, which allows up to 10 units per acre.
The proposal is set for final Escambia County Development Review Committee consideration on Wednesday.
Ransom Middle School Names Students Of The Month
January 11, 2026
Ransom Middle School recently named their November/December Winter Students of the Month.
They are Jeremiah Lewis and Leila Mosley.
Photos for NorthEscambia.com, click to enlarge.
Century Dollar General Manager Sentenced On Grand Theft Charge
January 11, 2026
The manager of a Dollar General in Century has been sentenced on charges related to the theft of store deposits totaling almost $8,000.
Dollar General Loss Prevention reported to the Escambia County Sheriff’s Office that store manager Casey Leigh Rice failed to turn in deposits. Dollar General reported that deposits of $5,514.13 and another for $2,485.65 between October 2 and October 4, 2025, were recovered from her purse, according to an arrest report. The Dollar General loss prevention employee told deputies that Rice admitted to stealing the deposits in a written statement.
She was charged with grand theft between $5,000 and $10,000, with the State Attorney’s Office stating the thefts occurred in the period of October 2-9, 2025.
Rice pleaded no contest in Escambia County Circuit Court and adjudication was withheld by Judge John Miller.
Rice was sentenced to 24 months probation, and ordered to pay $669 in court costs, public defender and other fees. She was also ordered to make restitution to Dollar General in an amount to be determined within 90 days. Her monthly probation cost of $52 will be waived for each month that restitution is paid.
Rice told deputies that she “has been struggling with money, because her car broke down,” the arrest report states. Her additional statements were redacted from the arrest report.
According to the Escambia County Sheriff’s Office report, Rice was manager of the Dollar General at 7731 North Century Boulevard, near Highway 4A, at the time of her arrest.
Florida Gas Prices On 10-Day Downward Trend
January 11, 2026
Florida gas prices declined 17 cents per gallon in the past 10 days, according to AAA.
Sunday’s state average was $2.69 per gallon. That’s the lowest daily average price since March 2021, 14 cents less than a week ago, 17 cents less than last month, and cents less than a year ago.
In Escambia County, the average was $2.55 per gallon on Sunday. In Pensacola, a low of $2.35 was available at about a dozen stations in the Pensacola metro. Sunday night, the low price in North Escambia was $2.46 at stations on South Highway 29 in Cantonment.
NorthEscambia.com photo, click to enlarge.
Felony Charge For Century Man After Alleged Domestic Battery In Local Roadway
January 11, 2026
A Century man was charged after a domestic dispute that reportedly escalated into a physical confrontation in the middle of a local roadway.
Danielle Kaprice Burt, 40, was charged with domestic battery by strangulation, a third-degree felony, and misdemeanor battery (domestic violence).
The Escambia County Sheriff’s Office responded to a battery complaint near the intersection of Highway 4A and Backwoods Road in Century. According to the arrest report, the incident began when the suspect’s girlfriend arrived in the area to ask him for money for a food order that was more expensive than she could afford.
The victim told deputies she encountered another woman on the road who claimed she had just left the suspect’s home. When the suspect arrived at the scene in a black pickup truck, an argument ensued. The victim alleged that Burt charged at her, grabbed her by the throat, and pushed her to the ground, causing her to strike her head on the pavement.
The report states Burt then got on top of the victim, punched her several times, and choked her to the point that she lost the ability to breathe. The account was corroborated by the other woman present and a young child who was in the victim’s vehicle.
Responding deputies observed a mark on the victim’s neck and ground debris on her face and head covering, which they noted was consistent with her statement.
Burt initially told deputies the second encounter was verbal only and that everyone stayed in their vehicles. However, he later claimed the victim attacked him through his truck door and that he pushed her to the ground in self-defense. Deputies noted that Burt’s timeline of events did not align with his own 911 call log or the path the reporting officer took while responding to the scene.
Burt was booked into the Escambia County Jail and is being held with no bond per Florida Statute. He is scheduled for a circuit court appearance on January 30, 2026
Free Tech Help Monday At The Molino Library
January 11, 2026
Did you receive a new piece of technology for Christmas and need a little help?
Stop by the Molino Library on Monday, January 12 or 26 for guidance. All day on those dates, Molino Library staff will offer custom help.
The Molino Library is located in the Molino Community Center, 6450 Highway 95A. The library is open Monday-Friday from 10 a.m. until 7 p.m. and on Saturday from 10 a.m. until 4 p.m.
Northview High Alum Earns Doctorate In Intelligent Systems And Robotics
January 11, 2026
Lawrence Dale Perkins recently earned his Ph.D. in Intelligent Systems and Robotics from the University of West Florida in conjunction with the Institute for Human and Machine Cognition.
The 1999 graduate of Northview High School also attended Bratt Elementary and Ernest Ward Middle schools. He earned a dual bachelor’s degree in Electrical and Computer Engineering in 2005 as well as a master’s in Industrial and Systems Engineering in 2007 from UWF.
Perkins is currently an electronics engineer for the U.S. Air Force and a recipient of the Department of Defense SMART Scholarship. His doctoral dissertation was titled “A Predictive Model for Understanding and Enhancing Scalability of Human-Multi-Agent Team.”
Dale is the son of son of William and Betsy Perkins of Oak Grove.
NorthEscambia.com photo (above) and submitted photo for NorthEscambia.com (below), click to enlarge.
Ascend Cares Volunteers Start Work On New Roy Hyatt Sensory Trail
January 11, 2026
Volunteers from Ascend Cares participated in a work day on Friday at the Roy Hyatt Environmental Center.
They helped start construction of the new Roy Hyatt Sensory Trail. They worked on “Windows to the Wind,” a “Whirling Wind Station,” “Crunch Trail,” a huge xylophone, a human-sized bamboo wind chime, and a natural wood binocular station.
The Ascend volunteers will return to Roy Hyatt this week to complete the project.
Photos for NorthEscambia.com, click to enlarge.
Registration Opens Monday For Escambia Sheriff’s Office Citizens’ Firearm Class
January 11, 2026
UPDATE: Classes are full and registration is closed.
Registration opens Monday, January 12 for the next Escambia County Sheriff’s Office Citizens’ Firearm Class.
The class will start on February 28.
The registration link will be posted on the ECSO Facebook page on Monday. Class space is limited.
Escambia Man Charged For Fatal Stabbing Triggered By Dispute About Wine
January 11, 2026
An Escambia County man has been charged for a fatal stabbing late Thursday night.
Henry S. Shoemaker, 51, was arrested on Friday for second degree homicide and booked into the Escambia County Jail where he remains without bond.
The victim was stabbed in the 100 block of Moreno Court and transported to the hospital where he later died. Witnesses said the incident began with a disagreement that escalated into yelling and a fight that ended with the victim stabbed multiple times in the neck and abdomen.
“The fight was over wine,” Escambia County Sheriff Chip Simmons said. “Who took the wine? Who drank the wine? Something about wine.”
Shoemaker was found hiding under a bed in a neighboring apartment.














