Kathleen Lewis Brown
September 6, 2017
Kathleen Lewis Brown, 56, of Pensacola, FL passed away on September 3, 2017. Kathleen was born on July 31, 1961, in Pensacola to Ross and Doris Lewis. She graduated from Tate High School in 1979 and received her Associates Degree in
Accounting in 1981 from Pensacola Junior College.
She met the love of her life, Chuck (even though she didn’t know it at the time) in middle school and they dated once in their sophomore year of high school and again in their junior year. Finally, in her senior year, he convinced her to go out again and that time it stuck. They married in 1984 after they graduated college. Their love produced two beautiful children, Derek Charles (1988) and Danielle Althea (1990). In 33 years of marriage, they built their own home, weathered hurricanes, started a business, raised two teenagers, saw their home become an impromptu animal shelter, explored every nook and cranny of Perdido Bay, and became grandparents. All of this they did together.
Kathleen worked in banking for 10 years, but quit to become a stay-at- home mom for her two children. They have been grateful ever since. In the 90’s Kathleen saw her children through Molino Elementary and though she was not a teacher herself, she spent as much time there as her children. She taught Math Superstars and was a staple in every classroom throughout the 90s. Even now she is fondly remembered in Molino for the warmth she brought to the classroom and the candy bars that often came with her.
In the 2000’s, along with her husband, she helped start an engineering consulting firm called Premier Engineering Group. She was the Chief Financial Officer (a title she gave and earned herself which no one disputed). Though she wasn’t an engineer herself, she helped steer the company through its beginning years and the impending financial crisis. Premier came out ahead and is now one of the most successful engineering firms in Pensacola.
The 2010’s were a time of joy and fulfillment for Kathleen. She saw both her children graduate college with bachelor degrees, her son get married, and became a grandmother. Being a grandmother suited Kathleen just fine and she devoted her remaining years to properly spoiling Grace and Jude despite her son’s best efforts.
Kathleen will be deeply missed. She will be remembered fondly for the way she loved her family, her numerous cats and dogs, the color blue, warm weather, and the way she was a mother to so many of the next generation.
She is preceded in death by her father, Ross Lewis; her aunt and uncle, Lee and Nadine Warren; her father-in- law, Charley Brown; and brother-in- law, Joe Brown.
She is survived by her husband, her soulmate, and her best friend, Chuck; her mother, Doris Lewis; her brother, Randy (and wife Vicki) Lewis; her son, Derek (and wife Dani) Brown; her daughter, Danielle Brown; her nephew, Timothy (and wife, Brandi) Hadden; and grandchildren, Grace and Jude Brown.
Above all else, Kathleen cherished these roles as wife, daughter, sister, mother, and grandmother.
Active pallbearers will be made up of family and those who counted her as a second-mom, even if they weren’t related.
Friends are cordially invited to a visitation with the family from 6 p.m. until 8 p.m. at Faith Chapel North on September 7, 2017.
A memorial service will follow on September 8, 2017 at 2 p.m. at Faith Chapel North.
Internment will follow at Pensacola Memorial Gardens.
Faith Chapel Funeral Home North is entrusted with the arrangements.
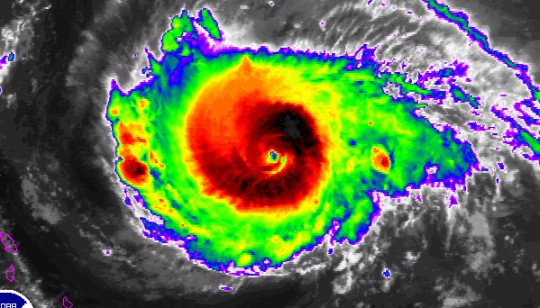
Watching Hurricane Irma: The Latest Forecast
September 5, 2017

Major Hurricane Irma continues to move across the Atlantic. It’s still to early, according to forecasters, to say for sure if the storm will impact the Gulf Coast.
The latest details on Hurricane Irma are in the graphics above and below, click to enlarge.


Mostly Sunny Today, Rain Chance By Wednesday
September 5, 2017
For the latest on Hurricane Irma, click here.
Here is your official North Escambia area forecast:
Tuesday: Mostly sunny, with a high near 90. Calm wind becoming south around 5 mph in the afternoon.
Tuesday Night: A 20 percent chance of showers and thunderstorms after 1am. Mostly cloudy, with a low around 69. Southwest wind around 5 mph becoming west after midnight.
Wednesday: Showers and thunderstorms likely, mainly after 1pm. Mostly cloudy, with a high near 84. Northwest wind around 5 mph. Chance of precipitation is 60%.
Wednesday Night: Mostly cloudy, with a low around 60. North wind around 5 mph.
Thursday: Sunny, with a high near 83. North wind 5 to 10 mph.
Thursday Night: Mostly clear, with a low around 57. North wind around 5 mph.
Friday: Sunny, with a high near 84. Northeast wind 5 to 10 mph.
Friday Night: Mostly clear, with a low around 62. Northeast wind around 5 mph.
Saturday: Sunny, with a high near 86.
Saturday Night: Mostly clear, with a low around 63.
Sunday: Mostly sunny, with a high near 84.
Sunday Night: Partly cloudy, with a low around 65.
Monday: Mostly sunny, with a high near 85.
Locals Empty Store Shelves As They Prep For Hurricane Irma Possibility
September 5, 2017
Hurricane essential are flying off the shelves as Escambia County residents prepare for possibility of Hurricane Irma. At the Walmart on Pensacola Boulevard in Ensley Sunday night, the water aisle was empty. Officials say it’s still too early to know exactly where Irma will go, and it’s a good time to review your supplies and hurricane plan, just in case. NorthEscambia.com photos by Kristi Barbour, click to enlarge.
Three People, Including Toddler, Injured In Crash Near Barrineau Park
September 5, 2017
Three people, including a toddler, were injured in single vehicle crash Monday night near Barrineau Park.
The vehicle left the roadway about 9:15 p.m. near the intersection of Highway 99 and Highway 196 and struck a large tree. Two adults, ages 27 and 79, and a 3-year old were transported by by ambulance to an area hospital with injuries that were no considered serious.
The accident remains under investigation by the Florida Highway Patrol. The Molino Station of Escambia Fire Rescue and Escambia County EMS also responded to the crash.
NorthEscambia.com photos by Kristi Barbour, click to enlarge.
Bonus Gallery: Northview, Escambia Academy Cheerleaders And Bands
September 5, 2017
Escambia Academy defeated the Northview Chiefs Friday night in Bratt.
For a bonus photo gallery of the cheerleaders and bands from both schools from Friday night, click here.
For a photo gallery of football action as Escambia Academy beat Northview, click here.
For a game recap story, click here.
NorthEscambia.com photos, click to enlarge.
Scott Declares State Of Emergency For Entire State Of Florida
September 5, 2017
Gov. Rick Scott on Monday placed all of Florida under a state of emergency as the projected path of Hurricane Irma could take the powerful storm toward the southern tip of the state by the end of the week.
The declaration is intended to give local governments in all 67 counties time to prepare, the governor’s office said.
“Hurricane Irma is a major and life-threatening storm and Florida must be prepared,” Scott said in a statement.
“Today, given these forecasts and the intensity of this storm, I have declared a state of emergency for every county in Florida to make certain that state, federal and local governments are able to work together and make sure resources are dispersed to local communities as we get prepared for this storm,” he added.
Scott has been advising people the past couple of days — through Twitter — to prepare for the storm by visiting the Florida Department of Emergency Management’s disaster page: floridadisaster.org/getaplan/.
“Families should take time today to make sure you have a disaster plan and fully-stocked disaster supply kit,” Scott tweeted on Monday. “I am continuing to coordinate with emergency management officials as we monitor Hurricane Irma.”
As of 5 p.m. on Monday, the storm system, with maximum sustained winds of 130 mph, was located about 490 miles east of the Leeward Islands, which are about 1,400 miles east of South Florida.
The storm was moving towards the west at 13 mph.
The National Hurricane Center said Monday that while it’s too early to determine where the storm will go, “There is an increasing chance of seeing some impacts from Irma in the Florida peninsula and the Florida Keys later this week and this weekend.”
Irma threatens Florida little more than a year after Hurricane Hermine made landfall in Northwest Florida. Hermine was the first hurricane to hit the state in more than a decade.
The new storm also threatens amid recovery efforts in Texas after the catastrophic Hurricane Harvey.
“In Florida, we always prepare for the worst and hope for the best and while the exact path of Irma is not absolutely known at this time, we cannot afford to not be prepared,” Scott said in Monday’s statement. “This state of emergency allows our emergency management officials to act swiftly in the best interest of Floridians without the burden of bureaucracy or red tape.”
by The News Service of Florida
OneBlood Urging Donations As Hurricane Irma Looms
September 5, 2017
As all eyes are on Hurricane Irma, OneBlood, the local not-for-profit blood center serving Florida and the majority of the Southeast, says it must begin storm preparations now and is urging all eligible blood donors to donate before Irma potentially impacts its service area.
OneBlood says the current path of Hurricane Irma is too close for comfort and that now is the time to alert the public that an increase in donations is needed. The most critical time for blood donations is prior to any storm in order to sustain the blood supply during and immediately after the event.
Hurricanes can disrupt the blood supply for several days. This scenario unfolded in Texas after Hurricane Harvey devastated the area last week. Blood centers in the Lone Star state were unable to collect and OneBlood stepped in and sent several shipments of blood to help patients until the blood centers in Texas were able to resume operations.
This week, OneBlood has been called upon to assist the blood center in Puerto Rico and has already sent 100 units of blood to the island as they prepare for Irma’s arrival.
In order to ensure a ready blood supply OneBlood is urging all eligible blood donors to donate now. While all blood types are needed, there is an increased need for O Negative and O Positive blood as well as platelet and plasma donations.
OneBlood encourages all eligible donors to make blood donation part of their storm preparations and visit a donor center or Big Red Bus as soon as possible. For a list of OneBlood locations visit www.oneblood.org.
Generally healthy people age 16 or older who weigh at least 110 pounds can donate blood. To learn more about the importance of blood donation and how donors can target the power of their blood type visit oneblood.org.
Bonus Gallery: West Florida Jaguars At Tate Aggies
September 5, 2017
The West Florida Jaguars defeated the Tate Aggies Friday night.
For a bonus photo gallery, click here.
For an earlier photo gallery, click here.
For a game recap story, click here.
NorthEscambia.com photos by Jennifer Repine, click to enlarge.
Book Fair This Week At Ransom Middle School
September 5, 2017
The Ransom Middle School Book Fair is going on this week through Friday, September 8.
The book fair will also be open during Open House Night on September 7 from 6-7:30 p.m.
For more information, call Ransom Middle School at (850) 937-2220.















